Bergama ve Aliağa'da Roma Dönemi Kırsal Yerleşim Alanı Tescil Edildi
27 Ocak 2024 - 10:11
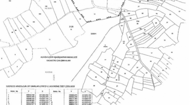
26 Ocak 2024 tarihli Resmi Gazete'de yayımlanan karara göre, İzmir'in Bergama ve Aliağa ilçesi Aşağışakran ve Zeytindağ Mahalleri mülki hudutlarında yer alan hazine ve şahıs mülkiyetinde kayıtlı alanda yapılan incelemeler sonucunda, bölgede Roma-Geç Roma Dönemi'ne ait bir yerleşim alanı olduğu tespit edildi.
Konu ile ilgili olarak İzmir 2 Numaralı Kültür Varlıklarını Koruma Bölge Kurulu Müdürlüğü tarafından düzenlenen raporda, bölgede yapılan sondaj çalışmaları sonucunda, Roma Dönemi'ne ait seramik, mimari parça ve sikke gibi buluntulara rastlandığı belirtildi.
Kurul, rapor doğrultusunda söz konusu alanın 3'üncü derece arkeolojik sit alanı olarak tescil edilmesine karar verdi.
Kararda şu bilgilere yer verildi: "“İzmir ili Aliağa ve Bergama ilçesi Aşağışkran ve Zeytindağ Mahalleri mülki hudutlarında yer alan hazine ve şahıs mülkiyetinde kayıtlı alanda Mergama Müze Müdürlüğü ve Kurul Müdürlüğü uzmanlarınca yapılan çalışma neticesinde tespiti yapılan Arkeolojik sit potansiyeli taşıdığına ilişikin İzmir 2 Numaralı Kültür Varlıklarını Koruma Bölge Kurulu Müdürlüğünün 31.10.2023 tarihli ve 4367612 sayılı kurum görüş yazısı, 2863 sayılı Kanunun 7’inci maddesi gereği iletilen kurum görüşleri; Kurul Müdürlüğü uzmanlarınca hazırlanan 27.12.2023 tarihli ve 2452716 sayı ile kayıtlı rapor okundu, ekleri incelendi, yapılan görüşmeler sonunda; İzmir ili Aliağa ve Bergama ilçesi Aşağışkran ve Zeytindağ Mahalleleri alan alanın kararımız eki 1/5000 ölçekli kadastral pafta üzerinde işaretlendiği şekli ve “Kuruhavuzçeşmesi Mevkii Roma-Geç Roma Dönemi kırsal yerleşim sahası” adı ile 3’üncü Derece Arkeolojik sit olarak tescil edilmesine, ekli tescil fişinin uygun olduğuna karar verildi.”
Foça'da Tarihî Sit Alanları
Foça Kocamehmetler Mahallesinde bulunan ve mülkiyeti hazineye ait Osman vasıflı taşınmazda yer alan Antik Dönem Taş Ocağı, 3. Derece Arkeolojik Sit ilan edildi. Ayrıca, Foça'da 2 adet Antik su kaynağı ve su yolu da koruma altına alındı.
Bu kararlar, bölgedeki tarihî ve kültürel varlıkların korunması amacıyla alındı. İlgili kararlar, Resmi Gazete'de yayımlandı.







YORUMLAR